V/l Jefferson (Btwn 1280&1290) Windsor, Ontario N8S 2R4
$179,900
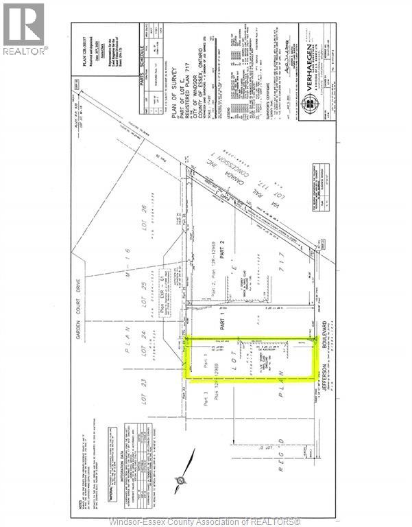
Attention Builders and Self Builders! A fantastic opportunity! This 42 x 163.22 ft extra deep building lot is in a great Riverside location and is ready to build. Close to all amenities, parks and walking distance to David Suzuki Public School and George P Vanier French Catholic School. Sewers at lot line. Buyer to verify all service locations and permit requirements. Call for more information. Survey & report to confirm sewers locates is available. (id:52143)
Property Details
| MLS® Number | 26003885 |
| Property Type | Vacant Land |
Building
| Type | No Building |
Land
| Acreage | No |
| Size Irregular | 42 Ft X 163.22 Ft |
| Size Total Text | 42 Ft X 163.22 Ft |
| Zoning Description | R1.16 |
https://www.realtor.ca/real-estate/29393437/vl-jefferson-btwn-12801290-windsor
Interested?
Contact us for more information




