Lot 1 Summit Lakeshore, Ontario N0R 1A7
$339,000
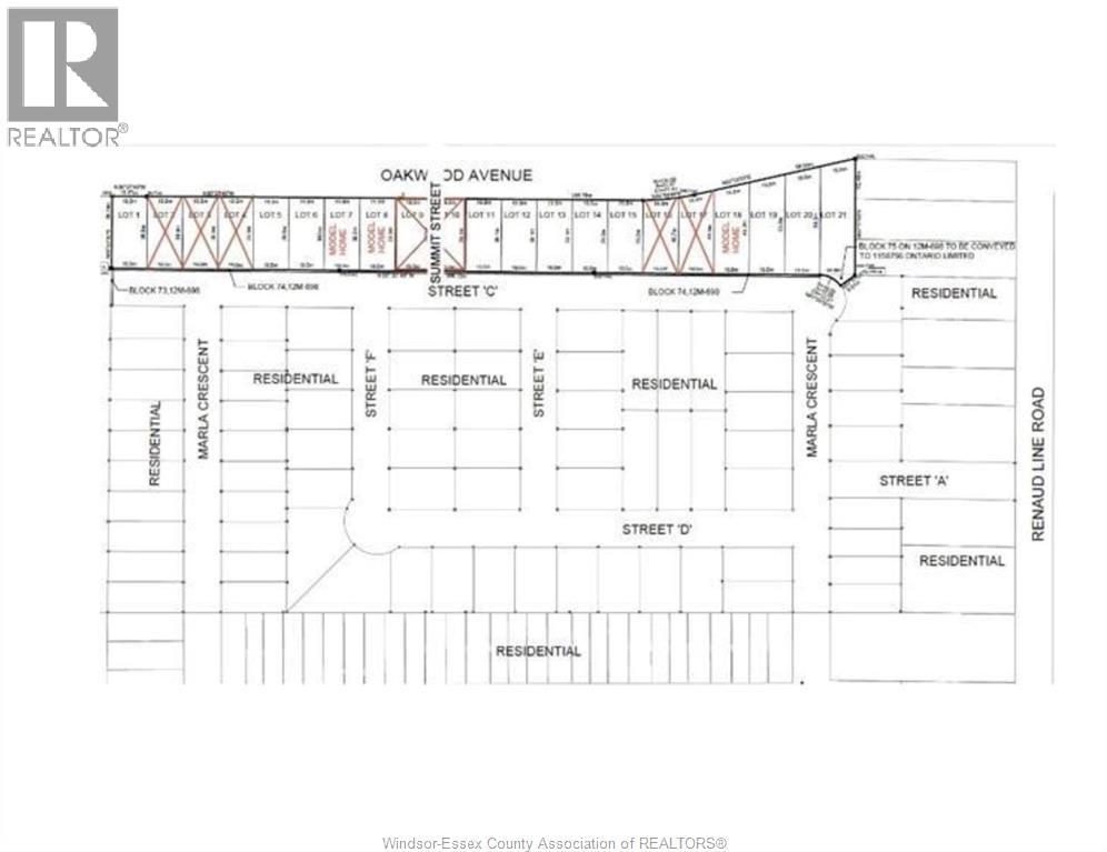
Fully serviced vacant lot for your custom home. Build your own or have your contractor do it. Large 62 x 127 ft lot. No building restrictions. Permits available immediately. Close to Atlas Tube Rec Centre, St Anne's High School, Lakeshore Discovery School and newly renovated River Ridge Park with tennis courts, splashpad, etc. Other lots available. (id:52143)
Property Details
| MLS® Number | 25026957 |
| Property Type | Vacant Land |
Building
| Type | No Building |
Land
| Acreage | No |
| Size Irregular | 62 X 127 Ft |
| Size Total Text | 62 X 127 Ft |
| Zoning Description | Res |
https://www.realtor.ca/real-estate/29023191/lot-1-summit-lakeshore
Interested?
Contact us for more information






